Plumbing Quotes

Get Professional Services

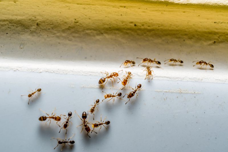
Ants Extermination Pest Control South Jordan Pest Management Residential Pest Control
Ants Extermination Service

Providing expert ants extermination services in South Jordan, UT, our team delivers effective pest control solutions for residential and commercial properties. We focus on thorough, practical treatments that eliminate colonies and prevent future infestations, ensuring a pest-free environment with clear communication and professional care.

Read more
Fly Control Pest Management South Jordan Hygiene Local Pest Services
Fly Control Service

Our fly control service in South Jordan, UT, helps residents and businesses manage fly populations effectively. With a focus on clear communication and targeted solutions, we aim to create cleaner, more comfortable environments. Our experienced local team provides practical pest management that reduces nuisances and enhances hygiene, ensuring peace of mind for property owners and managers.

Read more
Flooring White Oak Installation South Jordan Hardwood Floors Floor Repair
White Oak Floor Installation

Offering expert White Oak floor installation in South Jordan, UT, our team delivers high-quality craftsmanship with clear communication. We focus on practical results to enhance your space's beauty and durability, whether renovating a room or outfitting an entire property. Our comprehensive services include refinishing, repairs, and related flooring solutions, ensuring a seamless experience from start to finish.

Read more
Exterior Painting Home Improvement South Jordan Residential Painting Surface Preparation
Exterior Home Painting

Our exterior home painting services in South Jordan, UT, focus on quality craftsmanship and clear communication. We help homeowners improve curb appeal, protect against weather damage, and achieve durable, attractive finishes. From surface preparation to final coats, our local team ensures a smooth process and practical results that enhance your home's exterior and value.

Read more
Hardwood Replacement Flooring Services South Jordan Floor Repair Floor Installation Flooring Contractor
Hardwood Replacement

Hardwood replacement services in South Jordan, UT, help homeowners restore the beauty and functionality of their floors. The process emphasizes quality craftsmanship, clear communication, and practical results to ensure durable, attractive flooring.

Read more
Baseboard Heater Heating Installation South Jordan Home Comfort Energy Efficiency Hvac Services
Baseboard Heater Installation

Offering professional baseboard heater installation in South Jordan, UT, our services enhance home comfort and energy efficiency. Our experienced team ensures a smooth process with clear communication and quality craftsmanship, helping homeowners achieve reliable heating solutions tailored to their needs.

Read more
Central Heating Heating Replacement South Jordan Ut Hvac Services Home Comfort
Central Heating Replacement

Providing central heating replacement services in South Jordan, UT, our team ensures a smooth process with clear communication and practical results. We focus on quality workmanship and reliable solutions to keep your home warm and comfortable during the colder months. Our local expertise and commitment to professionalism make us a trusted choice for upgrading your heating system and maintaining indoor comfort.

Read more
Mosquito Control Outdoor Pest Management South Jordan Ut Yard Treatments Perimeter Sprays
Mosquito Control Service

Mosquito control services in South Jordan, UT, help residents enjoy outdoor spaces free from biting insects. By managing mosquito activity through targeted treatments and habitat reduction, these services improve outdoor comfort and safety. Clear communication and effective results make it easier to relax and gather outside during peak seasons, ensuring a pest-free environment for families and visitors.

Read more
Ac Leak Repair Hvac Services Refrigerant Leak System Maintenance South Jordan Ut
Ac Leak Repair

Expert AC leak repair services are available in South Jordan, UT, helping homeowners and property managers maintain efficient and reliable cooling systems. Our focus is on clear communication, quality workmanship, and practical solutions to restore comfort and system performance with minimal disruption.

Read more
Heat Pump Hvac System Maintenance Repair South Jordan Energy Efficiency
Heat Pump Service

Offering expert heat pump services in South Jordan, UT, our team focuses on reliable maintenance, repairs, and system upgrades. We prioritize clear communication and professional care to ensure your home's comfort and energy efficiency throughout the year.

Read more